


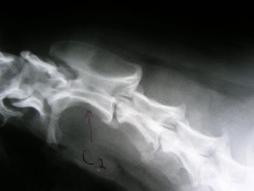
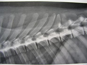
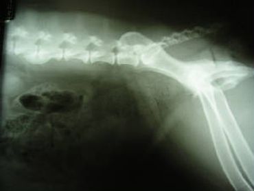
The spinal column is made up of four major vertebral regions: cervical (neck), thoracic (mid back), lumbar (low back) and sacral (pelvic). Dogs have seven cervical, thirteen thoracic, seven lumbar and three sacral vertebrae. There are also variable numbers of coccygeal or tail vertebrae. Intervertebral disks are located between the vertebral bodies starting at the second and third cervical vertebrae (C2-3) and extending to the seventh lumbar and first sacral vertebrae (L7-S1). The three sacral vertebrae are fused and therefore do not have disks. Intervertebral disks are present between the coccygeal vertebra as well, but are of little clinical significance.
The canine spinal anatomy is very similar to us humans, with the exception of 1 additional thoracic vertebra and 2 additional lumbar vertebra...








Copyright © 2024 www.innatepaws.com - All Rights Reserved.
Powered by GoDaddy